Riparbella - Località San Martino - Monolocale al piano terra con giardino e posto auto.
RIF. RI258

Loc. San Martino

Caratteristiche Servizi Planimetria Contatti

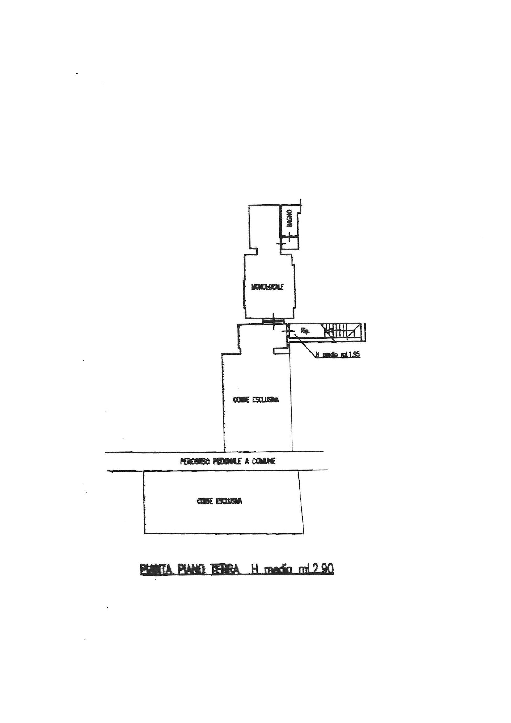
Riparbella - Località San Martino, a pochi chilometri della cittadina di Cecina e dal mare, nella natura con tanto verde e quiete, vendiamo  Monolocale di recente costruzione al piano terra con ingresso da  giardino privato di circa 30 mq. con loggia e un ripostiglio,  rifiniture tipiche toscane quali travi in legno al soffitto e pavimento in cotto, volte e  pareti con pietra faccia vista, pronto per essere abitato o come seconda casa per le vacanze o come investimento per l'affitto turistico.

l'interno e' composto da soggiorno con angolo cottura e disimpegnata camera matrimoniale, antibagno, bagno con doccia.   


La proprieta' dispone di un ulteriore giardino di circa 40 mq.   

                                                                                                                                                                                      

Posto auto scoperto di proprietà. 


Situato in elegante complesso residenziale, silenzioso , con ampi spazi verdi,  che dispone di due piscine a disposizione dei condomini ed un' area giochi per bambini.


E' dotato di  climatizzatore per la produzione di aria calda/fredda.


Caratteristiche della Casa

Piscina
condominiale
Camere da letto
1
Porticato
Si
Metri Quadri
43 c.a.
Numero Vani
1
Piano
Terra
Numero Bagni
1
Posti Auto
1
Distanza dal mare
8000 m c.a.
Classe Energetica
G
Ipe
222.08
Giardino mq. c.a.
70

Servizi

Giardino
Posto auto

Planimetria

Ricerca per RIF.

Trova la tua casa

Sei interessato a questo immobile?

IMMOBILIARE CASA&MARE
Via S. Pellico, 1
57022 Marina di Castagneto
Carducci (LI), Toscana - Italy

Via Circonvallazione, 29
Cecina (LI), Toscana - Italy

Tel. 0565.745061
Whatsapp: 0565 745061

E-mail: casaemare@casaemare.com

Per avere informazioni via e-mail può utilizzare il modulo sottostante. Sarà nostro piacere risponderle al più presto. Grazie.